Ernte in Gefahr

Weniger Pflanzenschutz, mehr Schädlinge

Wenn die Rechnung nicht aufgeht

Weniger zugelassene Mittel, um unsere Pflanzen am Feld zu schützen und gleichzeitig immer mehr hungrige Schädlinge – ja, und plötzlich fressen diese zahlreichen Käfer und Co ganze Felder kahl. Was das für unsere heimische Ernte bedeutet, warum unsere Landwirt:innen kaum noch etwas dagegen tun können und wieso wir bald mehr Lebensmittel mit niedrigen Herstellungsstandards aus dem Ausland importieren müssen: Ein Blick hinter die Kulissen einer Krise, die uns alle betrifft.

Schädlinge wieder auf dem Vormarsch

Mit Schädlingen haben alle Landwirt:innen zu kämpfen. Früher konnten sie allerdings ihre Ernte mit wirksamen Pflanzenschutzmitteln gut schützen. Damals wuchsen die Pflanzen am Feld munter vor sich hin und die Käfer konnten im Zaum gehalten werden. Wenn die Pflanzen reif waren, wurden sie geerntet und wir waren wieder eine Saison lang bestens versorgt. Idylle pur, die es so nicht mehr gibt. Doch was hat sich getan? Inzwischen sind viele dieser Mittel, die Pflanzen vor dem Auffressen bewahren, nicht mehr erlaubt. Die verfügbare Auswahl wird immer kleiner. Das hat Folgen: Auf den Feldern breiten sich Schädlinge wie der Erdäpfelkäfer wieder stark aus, feiern die beste Zeit ihres Lebens und zerstören durch ihren schier unstillbaren Hunger die Ernte.

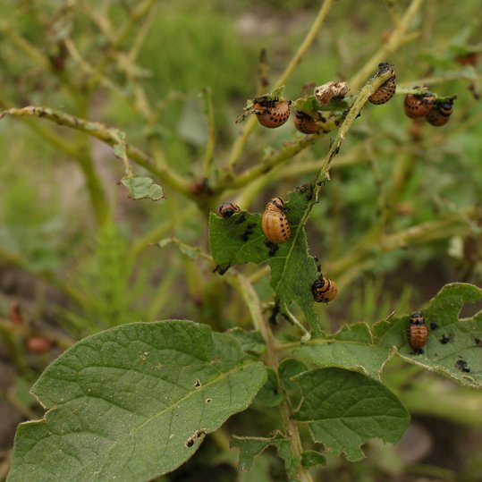
Erdäpfelkäfer frisst ganze Felder kahl

Die Bäuerinnen und Bauern stehen beim Pflanzenschutz mit dem Rücken zur Wand. In den letzten Jahren sind die Populationen von Schädlingen geradezu explodiert. Besonders Erdäpfelkäfer sind ein Problem: Sie fressen die Blätter der Erdäpfelpflanzen weg und können so große Teile der Ernte vernichten. Die Blätter braucht die Pflanze zum Wachsen, um Erdäpfel auszubilden und vor allem in Zeiten von Hitzeperioden sind die Blätter noch wichtiger als je zuvor! Weil Kartoffelkäfer keinen Unterschied zwischen Feld und privatem Garten machen, fallen sie mittlerweile überall ein und lassen sich liebend gern an Hausfassaden nieder.

Strenge Regeln bedeuten weniger Schutz

Aber warum gibt es immer weniger Mittel, um Pflanzen vor hungrigen Käferplagen zu schützen? Pflanzenschutzmittel unterliegen in Europa sehr strengen Regeln. Diese Regeln sind politisch und gesellschaftlich motiviert. Doch die vielen Verbote und Regeln führen auch dazu, dass immer weniger Mittel erlaubt sind. Für unsere Landwirt:innen heißt das: Sie haben weniger Möglichkeiten, ihre Pflanzen zu schützen und müssen notgedrungen das Feld den Schädlingen überlassen. Das gefährdet die Ernte – und wenn wir weniger selbst produzieren oder nur noch Missernten haben, müssen wir mehr aus dem Ausland importieren.

Weniger Mittel, weniger Wirkung

Immer mehr effektive Mittel verlieren ihre Zulassung. Die Arbeit auf dem Feld wird dadurch viel schwieriger. Die Mittel, die es noch gibt, sind oft schwächer. Früher konnte man Schädlinge mit einem einzigen Einsatz auf dem Feld gut bekämpfen – heute braucht es mehrere Durchgänge. Und das funktioniert auch nur dann, wenn der Zeitpunkt genau stimmt. Wer das Zeitfenster verpasst, wird vom Käfer bestraft. Die Schäden der Schädlinge, die den verpassten Augenblick ausnutzen, lassen sich nicht mehr beheben. Die Schäden ziehen sich über die gesamte Saison. Gerade in den immer heißer werdenden Sommern ist das noch schlimmer, weil die Pflanzen dann ohnehin weniger Blätter haben und anfälliger sind.

Resistenzen: Schädlinge gewöhnen sich an die Mittel

Zwar gibt es aktuell noch Mittel gegen den Erdäpfelkäfer, aber hier entsteht ein weiteres Problem: Resistenzen. Das bedeutet, die Käfer gewöhnen sich an die Wirkstoffe und überleben irgendwann die Behandlung. Normalerweise wechselt man die Mittel ab, damit das nicht passiert. Aber wenn es nur noch wenige Wirkstoffe gibt, ist das kaum möglich. Das führt dazu, dass die Käfer noch schwerer zu bekämpfen sind.

Wie wir uns abhängig machen von minderen Produktionsstandards

Wenn es keine Lösungen gibt, steht bei vielen landwirtschaftlichen Betrieben die Existenz auf dem Spiel. Gleichzeitig könnte es zu Versorgungsengpässen bei Lebensmitteln aus Österreich kommen. Warum noch etwas anbauen, wenn zur Erntezeit nichts mehr davon am Feld übrig ist? Paradox dabei: Wir müssen aus Ländern importieren, die genau die Pflanzenschutzmittel einsetzen, die bei uns verboten sind. Das ist ein Wettbewerbsnachteil für unsere Bäuerinnen und Bauern und weit entfernt von fair.

Gleiche Regeln für alle

Wie könnte die Lösung aussehen? Gleiche Regeln für alle! Das würde bedeuten: Alle Länder produzieren nach denselben Standards. So wäre der Wettbewerb fairer und unsere Versorgung mit heimischen Lebensmitteln gesichert. Wenn wir in Österreich auch in Zukunft unsere eigene Bevölkerung ernähren wollen, müssen wir darüber nachdenken, wie wir unsere Pflanzen wirksam schützen können.

Erste Gemüsesorten verschwinden schon

Die Folgen dieser Entwicklung sind bereits sichtbar. Manche Gemüsesorten verschwinden schon aus der heimischen Produktion. Ein Beispiel sind Kohlsprossen: Sie können kaum noch angebaut werden, weil es keinen wirksamen Pflanzenschutz mehr gibt. Das zeigt, wie wichtig es ist, dass wir Lösungen finden – damit auch in Zukunft regionale Lebensmittel auf unseren Tellern landen.

Wenn wir gewisse Wirkstoffe nicht haben, sind wir machtlos. Ein Beispiel wäre der Drahtwurm beim Erdäpfel. Jetzt kann man diesen zwar aus der Knolle ausschneiden, wenn man diese aber dann lagert, fault das komplette Lager.

Schädlinge, wie etwa der Kohlerdfloh oder die Weiße Fliege, können nicht mehr wirksam bekämpft werden.

Politik ist gefordert

Hier ist vor allem die Politik gefragt. Pflanzenschutz ist in Europa generell ein schwieriges Thema. Österreich ist besonders betroffen, weil wir ein kleines Land sind und viele verschiedene Kulturen anbauen. Für die Hersteller von Pflanzenschutzmittel lohnt es sich oft nicht, für kleine Märkte eine Zulassung zu beantragen – das ist teuer und der Zulassungs-Erfolgschancen vage. Deshalb kommen keine neuen Mittel auf den Markt. 

Landwirtschaftsminister Norbert Totschnig hat sich deshalb auf europäischer Ebene dafür eingesetzt, dass sich etwas ändert. 22 Länder unterstützen diesen Vorstoß bereits. Das zeigt, dass das Problem europaweit existiert und ernst genommen wird. Gleichzeitig gibt es auch in Österreich noch einiges zu tun – zum Beispiel bei der Anerkennung von Mitteln aus anderen Ländern, damit unsere Betriebe konkurrenzfähig bleiben.

Noch mehr Wissenswertes

Kartoffelkäfer ©pixabay © pixabay

Erdäpfelkäfer im Anflug

Vielen ist es schon aufgefallen: die schwarz-gelb gestreiften großen Brummer bevölkern immer öfter Siedlungsgebiete. Wieso das so ist und was man dagegen tun kann, das liest du hier!

mehr
© LK NÖ; Quelle: Industrieverband Agrar

Die Zukunft von Pflanzenschutz

Weltweite Krisen zeigen, wie wichtig regionale Lebensmittelproduktion ist. Um die Pflanzen bis zur Ernte zu schützen, braucht es Pflanzenschutzmittel. Das sind längst nicht mehr nur um chemische Mittel, viel mehr geht es um ein cleveres Zusammenspiel verschiedener Methoden.

mehr
Bäuerin und Bauer bei der Feldkontrolle und laufender Kultur-Beobachtung zum Schutz ihrer Pflanzen. © Dusan Kostic/stock.adobe.com

Pflanzenschutz ist mehr als Einsatz von Betriebsmitteln

Vielfältiger, präziser und sorgsamer Pflanzenschutz ist die Bedingung für Versorgungssicherheit und er ist notwendig, um gesunde Pflanzen zu erzeugen und zu ernten.

mehr
© Nolan/adobe.stock.com

Pflanzenschutz im Wandel der Zeit

Pflanzenschutz ist so alt wie die Produktion von Kulturpflanzen selbst. Seit jeher war es notwendig, Kulturpflanzen gegenüber Schaderreger zu schützen. Die Art des Pflanzenschutzes und die Einstellung dazu haben sich im Laufe der Zeit geändert.

mehr
© alexpapis/LK NÖ

Krisensicher durch Regionalität

Pandemie, Krieg, Klimakrise – und dazwischen immer wieder Tierseuchen oder Pflanzenschutzverordnungen. Die Versorgung mit Lebensmitteln scheint stabil – aber wie sicher ist sie wirklich?

mehr
Vielfalt in Niederösterreich.jpg © LK NÖ

Niederösterreich versorgt sich selbst

Inmitten des globalen Handels und Überschwemmung von Importprodukten wird die Bedeutung der regionalen Landwirtschaft oft übersehen. Doch in Niederösterreich liegt der Fokus auf regionaler Versorgung.

mehr
Effiziente Beregnung mit Düsenwagen © Josef Wasner/LK NÖ

Maßnahmen zur Klimaanpassung im Pflanzenbau

Der Pflanzenbau steht vor besonderen Herausforderungen. Hitze und Trockenheit wirken negativ auf Ertrag und Qualität. Um sich deshalb an den Klimawandel anzupassen, hat die Land- und Forstwirtschaft bereits seit Jahren einige Maßnahmen entwickelt.

mehr
© Harald Schally/LK NÖ

Heiße Zeiten, mehr Pflanzenschutz

Der Klimawandel führt dazu, dass Pflanzenschutzmittel häufiger statt seltener eingesetzt werden müssen. Erfahre hier, welche Schädlinge sich durch Hitze vermehren, warum Pflanzenschutz wichtig und sicher ist, und wie die Zulassung und Bewertung davon ablaufen.

mehr
Mit dem ausgebrachten Dünger wird der Boden erneut angereichert, damit er die Pflanze wieder versorgen kann. © pixabay

Auch unsere Pflanzen brauchen Nahrung

Genauso wie wir Menschen brauchen Pflanzen Nährstoffe zum Wachsen. Durch eine bedarfsorientierte Pflanzenernährung werden dem Boden wieder jene Nährstoffe zugeführt, die die Pflanze bereits aufgebraucht hat.

mehr
© AMAZONEN-WERKE H. DREYER SE & Co. KG

Düngerausbringung im Wandel

Hast du schon einmal Traktoranhänger gesehen, die man zum Ausbringen von Mineraldünger braucht? Sehr groß und kompliziert sehen sie aus. Früher waren die Maschinen und das Ausbringen noch ganz anders.

mehr
In a cultivated agricultural field, a farmer examines a young gr © Zaleman/stock.adobe.com

Der Öko-Faktor auf unseren Feldern

Österreichs Bauern wirtschaften nachhaltig – ob Bio oder konventionell. Doch wo liegen die Unterschiede, und welche Vorurteile stimmen nicht?

mehr
© Anna Kerschner/LK NÖ

Mehr Wertschätzung durch Kommunikation

Die Landwirtschaft steht vor einem Imagewandel: Wo einst Anerkennung selbstverständlich war, braucht es heute mutige Botschafter:innen, die mit Fakten und Authentizität überzeugen.

mehr
© pixabay

Weg des Blatt- und Stielgemüse

mehr
Kartoffel rollen aus dem Juttesack ©elenemas_86/stock.adobe.com © elenemas_86/stock.adobe.com

Weg der Erdäpfel

mehr
Bauer versorgte 1960 zwölf Menschen im Jahr 2019 98 Menschen. © LK NÖ

Unsere Bauern decken den Tisch

Ein Landwirt ernährt heutzutage in Österreich 98 Menschen mit Lebensmitteln. Breiteres Fachwissen und Innovationsgeist machen das unter anderem möglich, denn 1960 ernährte ein Bauer zwölf Menschen.

mehr

Erdäpfel

Die Arbeit unserer Erdäpfelbauern im Jahreskreis

mehr
Erdäpfelpyramide von oben mit Pflanzen © Muhr

Erdäpfel- und Gemüsepyramide

Werde zum Hobby-Gemüsebauer. Ob Erdäpfel oder andere Gemüsesorten: Mit dem Hochbeet in Pyramidenform holt man sich ein wahres Naturspektakel nach Hause und spart auch noch Platz.

mehr
Bauer gräbt Kartoffeln für die Qualitätskontrolle aus, Traktor steht dabei im Hintergrund. © Eva Lechner/LK NÖ

Erdäpfel mit AMA-Gütesiegel

Franz Bachl ist Erdäpfelproduzent im Bezirk Hollabrunn und zeigt, was das AMA-Gütesiegel für seine Kultur bedeutet. Schon seit 17 Jahren setzt er auf dieses Qualitätsprogramm.

mehr
Kartoffeln sind die Lieblingsbeilage in Österreich © Elisabeth Heidegger/LK NÖ

Erdäpfel: So kommt die tolle Knolle ganz groß raus

Welche Sorte eignet sich wofür? Was ist beim Kochen zu beachten und wie wird die Verarbeitung zum Kinderspiel?

mehr
mockup von Infografik von Verlass di drauf der Landwirtschaftskammer Niederösterreich zum Erdäpfel-Anbau und dem Lebensmittel Erdäpfel © LK NÖ

Erdäpfel

mehr

Pflanzenschutz

mehr
Mockup von Infografik von Verlass di drauf der Landwirtschaftskammer Niederösterreich zur Ernährungssicherheit © LK NÖ

Ernährungssicherheit

mehr

Pflanzenernährung

mehr
© Eva Kail/LK NÖ

Selbstversorgung

mehr
mockup Infografik von Verlass di drauf der Landwirtschaftskammer Niederösterreich zu Selbstversorgungsgrad © LK NÖ

Selbstversorgungsgrad

mehr
Mockup von Infografik von Verlass di drauf der Landwirtschaftskammer Niederösterreich zur Statistik, wie viele Personen ein Bauer über die Jahre versorgte und derzeit versorgt © LK NÖ

Versorgung der Bevölkerung

mehr
© LK NÖ

Versorgung der Bevölkerung 2

mehr
© LK NÖ

Versorgungssicherheit

mehr
© Eva Kail/LK NÖ

Versorgungssicherheit

mehr
© LK NÖ

Erdapfel Kulturinfo

mehr
© LK NÖ

Versorgungssicherheit

Fachliche Druckvorlage

mehr
Druckvorlage KI im Pflanzenbau.jpg © LK NÖ

KI im Pflanzenbau

Fachliche Druckvorlage

mehr
© LK NÖ

Ackerbau im (Klima-)Wandel

Fachliche Druckvorlage

mehr
© Sonja Hießberger/LK NÖ

Lebensmittel

Fachliche Druckvorlage

mehr
© LK NÖ

Pflanzen schützen

Fachliche Druckvorlage

mehr
Druckvorlage Pflanzengesundheit.jpg © LK NÖ

Pflanzengesundheit

Fachliche Druckvorlage

mehr

Pflanzenschutz-Broschüre

mehr
Arrow Left
Arrow Right
Suchen Image
WhatsApp
Back to top