Erdäpfel-Produktion
Das ganze Jahr über Qualität aus Österreich
Speiseerdäpfel aus Österreich
Auf fast 23.000 Hektar Ackerfläche wachsen in Österreich Erdäpfel heran. Der Löwenanteil davon liegt in Niederösterreich, wo sich rund 500 Bäuerinnen und Bauern der tollen Knolle verschrieben haben.
© AMA Marketing Der größte Anteil der Ackerflächen liegt in Niederösterreich (ca.18.000 ha), wo rund 500 Landwirte ca. 80 % der Erdäpfelanbauflächen bewirtschaften. Insgesamt dienten in Österreich im Jahr 2021 10.100 ha der Speiseerdäpfelproduktion, 6.000 ha der Stärkeindustrie, 3.900 ha der Speiseindustrie, 1.900 ha der Saaterdäpfel- und 1.100 ha der Früherdäpfelproduktion. Die biologische Anbaufläche betrug 2021 österreichweit insgesamt 3.644 ha. Mit 2.352 ha ist sind der Großteil davon Speiseerdäpfel. Die biologische Anbaufläche betrug 2021 österreichweit insgesamt 3.644 ha. Mit 2.352 ha ist der Großteil davon Speiseerdäpfel. Erdäpfel und Frischgemüse zählen zu den beliebtesten Produkten, welche aus biologischer Erzeugung gekauft werden. Ca. 10 % der im Lebensmitteleinzelhandel erworbenen Erdäpfel und Frischgemüse sind biologisch.
© AMA Marketing Wie sollen die Erdäpfel verwertet werden? Diese Frage muss der Landwirt bereits im Vorfeld beantworten. Denn die Verwendung der Erdäpfel entscheidet über die Qualitätskriterien. Je nachdem entscheidet er sich für Sorte, Düngung, Ernte und Lagerung.
Doch nicht nur an die Erdäpfelpflanze werden enorme Anforderungen gestellt. Auch der Boden hat so einiges zu erfüllen. So sollte er siebfähig, krümelstabil oder leicht erwärmbar sein und auch ausreichend Wasser ist notwendig. Am Beginn des Anbaus steht deshalb das Lockern des Bodens und das Durchführen einer Vordüngung. Anschließend werden die Knollen in Dämmen abgelegt.
Werden Heurige, also frühe Speiseerdäpfel erzeugt, erfolgt die Pflanzung früher und teilweise unter Folie. Hierfür werden vorgekeimte Knollen verwendet, von denen ca. drei bis vier Stück pro Quadratmeter angepflanzt werden. Bei Lagererdäpfel wird die Knolle zwischen März und April gepflanzt. Dabei lautet die Faustregel: Vier Stück pro Quadratmeter.
Die Knollen beginnen an den Knospen (Augen) auszutreiben und Wurzeln zu bilden. Am unterirdischen Teil der Austriebe entspringen Seitentriebe. Während oberirdisch Stängel, Blätter und Blüten heranwachsen, entwickeln sich am Ende der unterirdischen Seitentriebe neue Knollen. Liegt die Anbaufläche in einer eher trockenen Region oder bleibt der notwendige Regen aus, ist eine künstliche Bewässerung ratsam um eine stabile Ernte zu erhalten. Allerdings können nur ca. 20 Prozent der Erdäpfelflächen beregnet werden. Um Krankheiten und Schädlinge einzudämmen, ist eine Fruchtfolge von etwa vier Jahren erforderlich.
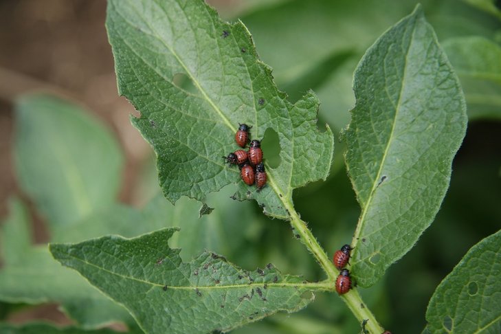
© AlexPfeiffer/stock.adobe.com Schädlinge und Krankheiten
Drahtwürmer sind bei den Erdäpfeln ein großes Problem. Während diese Schädlinge vor allem bei trockenwarmen Bedingungen auftreten, entstehen Pilzkrankheiten wie Krautfäule bei überhöhter Feuchtigkeit.
© Paula Pöchlauer-Kozel/LK NÖ Drahtwürmer sind bei den Erdäpfeln derzeit ein äußerst großes Problem. Darunter versteht man die 20 bis 25 cm langen Larven des Schnellkäfers, welche als Schädlinge im Boden leben und Fraßschäden verursachen oder Jungpflanzen gänzlich abfressen. Die Schäden treten vermehrt in heißen und trockenen Jahren auf. Die Bekämpfung dieser Schädlinge gestaltet sich schwierig, da für den Erdapfelanbau keine Insektizide regulär zugelassen und Fruchtfolgemaßnahmen in diesem Bereich nur wenig erfolgreich sind. Kartoffelkäfer und ihre Larven sind Schädlinge, welche das Laub der Pflanzen abfressen und dadurch den Stoffwechsel beeinträchtigen. Dagegen wird in der Regel mit Pflanzenschutzmitteln vorgegangen.
Während Schädlinge wie Drahtwürmer oder Kartoffelkäfer v. a. bei trockenwarmen Bedingungen auftreten, entsteht die Krautfäule bei überhöhter Feuchtigkeit. Bei dieser Pilzerkrankung bekommen die Blätter braune Flecken und rollen sich ein, während sich auf der Blattunterseite ein weißer Pilzrasen ausbreitet und schlussendlich die Stängel umknicken. Geht der Pilz auf die Knollen über, entsteht Knollenfäule. Dabei bilden sich graue Flecken auf der Schale aus und das Innere des Erdapfels verfärbt sich braun. Krautfäule kann mit Fungiziden bekämpft werden.
Weitere Krankheiten, die bei Erdapfelpflanzen auftreten können sind Alternaria, Bakterienringfäule, Phytophthory, Rhizoctonia, Stängelfäule, Strichelkrankheit oder Kartoffelschorf. Der Kartoffelschorf wird von Pilzen hervorgerufen, welche vor allem in trockenen sowie kalthaltigen Böden vorkommen. Bei dieser Krankheit bilden sich schorfige Stellen mit dunkler Färbung auf den Erdäpfeln, welche sich bis in das Innere ziehen.
© Pflanzenbau/LK NÖ